Like

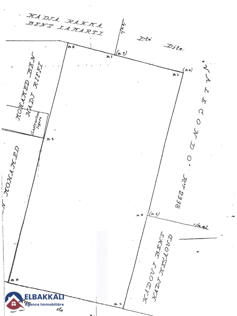
Land for Sale in the Heart of Tangier - 911 m² Ready to Build
22 775 000DH
- Total Area911m²
Description
Land for sale in downtown Tangier, ideal for a R+7 property project.
Location: Castilla neighborhood in downtown, a strategic and highly sought-after area.
Area: 911m²
Price: 25,000 DH/m²
Total Price: 22,775,000 DH
Zoning: R+7 + Setback
Description:
Exceptional land located in the heart of downtown, perfect for a high-end real estate investment (apartments, office spaces, etc.).
The land benefits from excellent visibility, easy access to the main thoroughfares of the city, and an attractive environment for quality urban development.
Features:
Vibrant and well-serviced neighborhood
Land title available
R+7+setback zone
Immediate proximity to shops, shopping centers, schools, administration, and transport.
Location Details
City Center, Tangier
Property images







ELBAKKALI
Real Estate Agency
1 / 7






